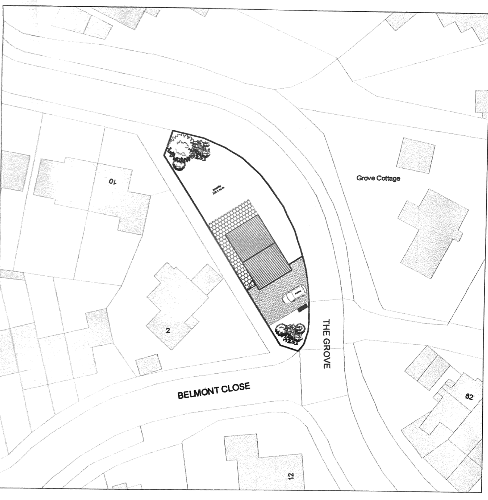
An application to build a three-bedroom house on grassland adjacent to Belmont Close on The Grove in Verwood has been received by Dorset Council.
Mr Philip Tomson wants to build the detached property for himself to live in.
In the submission, Mr Tomson says the arrangement and layout of the property will not encroach or overlook any neighbouring properties.
However, over 30 people have objected to the proposal, saying it will block the visibility of the nearby junction, and leave no adequate path.
One person is in favour of the build saying its a great family area and the land is big enough to support a single dwelling with off-road parking.
On objection says: “We’re of opinion this would be a disaster and lower visibility on an already tight bend. It would also directly affect the sunlight coming into our garden and property, creating an eyesore.”
The case (P/FUL/2022/06930) is currently out to consultation

